ホーム > 市政全般 > 環境・都市計画 > 道路 > 道路愛称名一覧

更新日:2023年4月20日

ここから本文です。

道路愛称名一覧

道路愛称名

道路愛称名一覧
番号 道路愛称名 位置 地図
1 御成街道 若葉区若松町~若葉区富田町

地図1(GIF:105KB)

地図2(GIF:130KB)

地図3(GIF:123KB)

地図4(GIF:81KB)

地図5(GIF:94KB)

地図6(GIF:64KB)

2 学園通り 稲毛区弥生町~稲毛区緑町2丁目 地図1(GIF:161KB)
3 京葉線通り 中央区中央港2丁目~美浜区幸町2丁目

地図1(GIF:159KB)

地図2(GIF:154KB)

地図3(GIF:145KB)

4 臨港プロムナード 中央区中央港1丁目~中央区新千葉1丁目 地図1(GIF:166KB)
5 千葉駅前大通り 中央区富士見1丁目~中央区富士見2丁目 地図1(GIF:222KB)
6 末広街道 中央区末広1丁目~中央区南町3丁目

地図1(GIF:184KB)

地図2(GIF:166KB)

地図3(GIF:178KB)

7 青葉の森通り 中央区都町~中央区南町2丁目

地図1(GIF:167KB)

地図2(GIF:168KB)

地図3(GIF:181KB)

8 タウンライナーストリート 若葉区都賀3丁目~若葉区千城台南4丁目

地図1(GIF:190KB)

地図2(GIF:171KB)

地図3(GIF:157KB)

地図4(GIF:133KB)

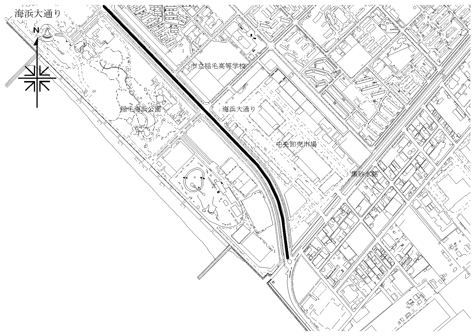
9 海浜大通り 美浜区高浜7丁目~美浜区豊砂1丁目

地図1(GIF:107KB)

地図2(GIF:117KB)

地図3(GIF:126KB)

地図4(GIF:95KB)

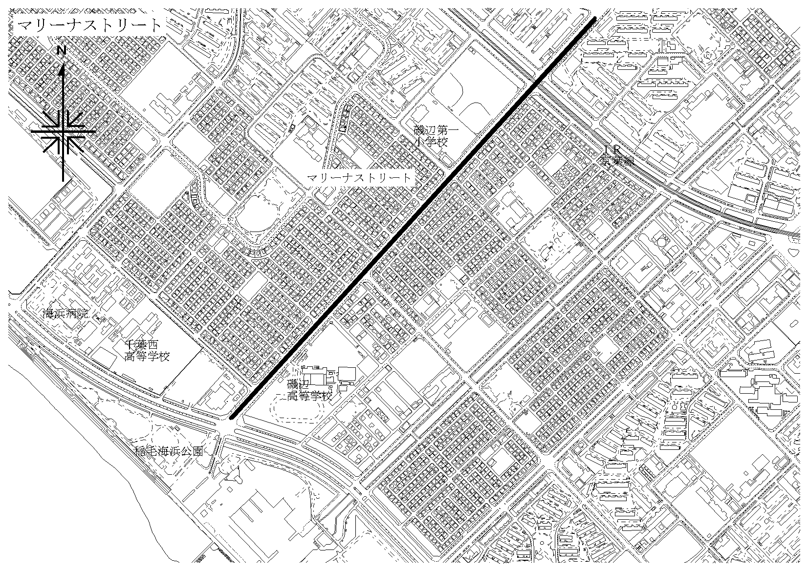
10 マリーナストリート 美浜区稲毛海岸5丁目~美浜区磯辺3丁目

地図1(GIF:164KB)

地図2(GIF:163KB)

11 海浜松風通り 美浜区高洲1丁目~美浜区高浜6丁目

地図1(GIF:160KB)

地図2(GIF:165KB)

12 海浜公園通り 美浜区高洲1丁目~美浜区高浜3丁目 地図1(GIF:167KB)
13 こじま公園通り 美浜区高洲1丁目~美浜区真砂1丁目 地図1(GIF:188KB)
14 けやき通り 美浜区幸町1丁目~美浜区幸町2丁目 地図1(GIF:168KB)
15 ゆりの木通り 中央区弁天4丁目~稲毛区弥生町 地図1(GIF:178KB)
16 作草部坂通り 中央区東千葉2丁目~稲毛区作草部町 地図1(GIF:172KB)
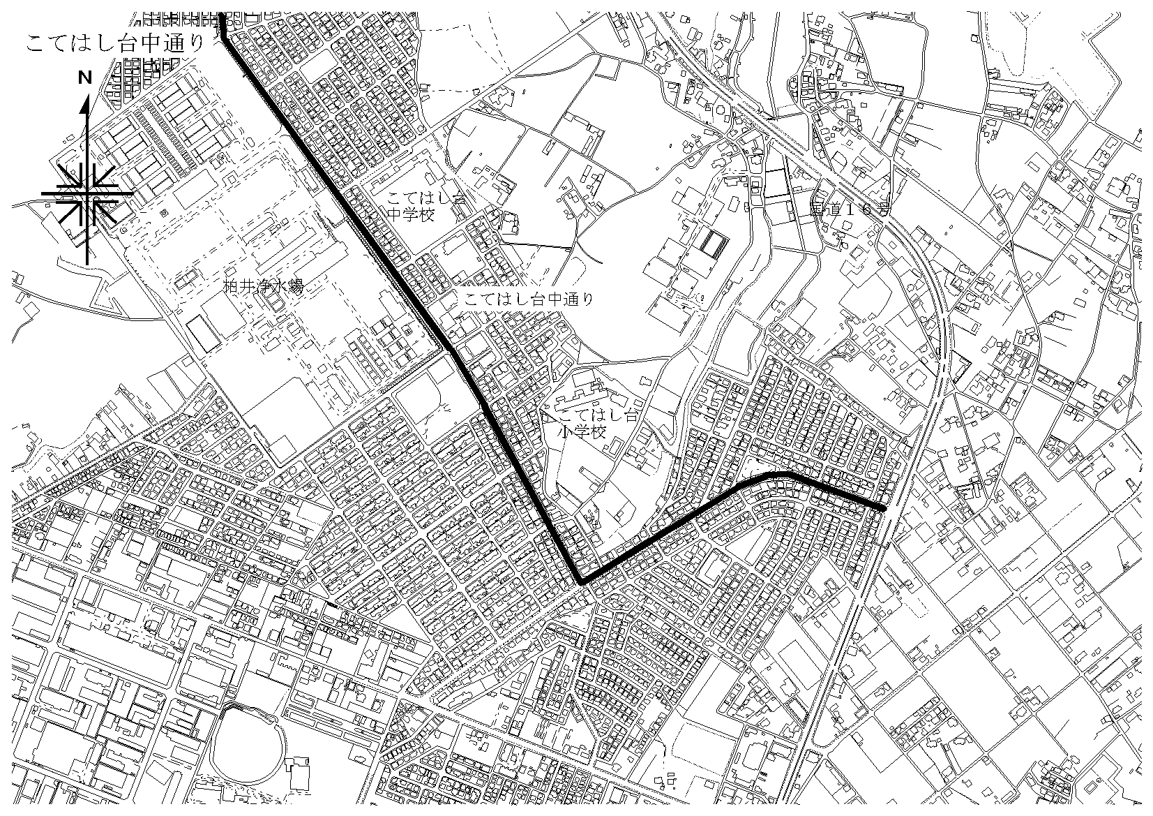
17 こてはし台なか通り 花見川区横戸町~花見川区こてはし台1丁目

地図1(GIF:153KB)

地図2(GIF:109KB)

18 みつわ台大通り 若葉区殿台町~若葉区みつわ台5丁目

地図1(GIF:152KB)

地図2(GIF:166KB)

19 小倉いちょう大通り 若葉区若松町~若葉区小倉台2丁目

地図1(GIF:169KB)

地図2(GIF:155KB)

20 小桜橋通り 若葉区桜木町~若葉区千城台西1丁目

地図1(GIF:134KB)

地図2(GIF:116KB)

地図3(GIF:159KB)

21 蘇我駅西口大通り 中央区今井2丁目 地図1(GIF:148KB)
22 大宮台すずかけ通り 若葉区大宮台7丁目~若葉区大宮台3丁目

地図1(GIF:114KB)

地図2(GIF:113KB)

23 大賀ハス通り 花見川区浪花町~花見川区畑町

地図1(GIF:121KB)

地図2(GIF:159KB)

24 文教通り 稲毛区穴川3丁目~中央区松波2丁目

地図1(GIF:198KB)

地図2(GIF:193KB)

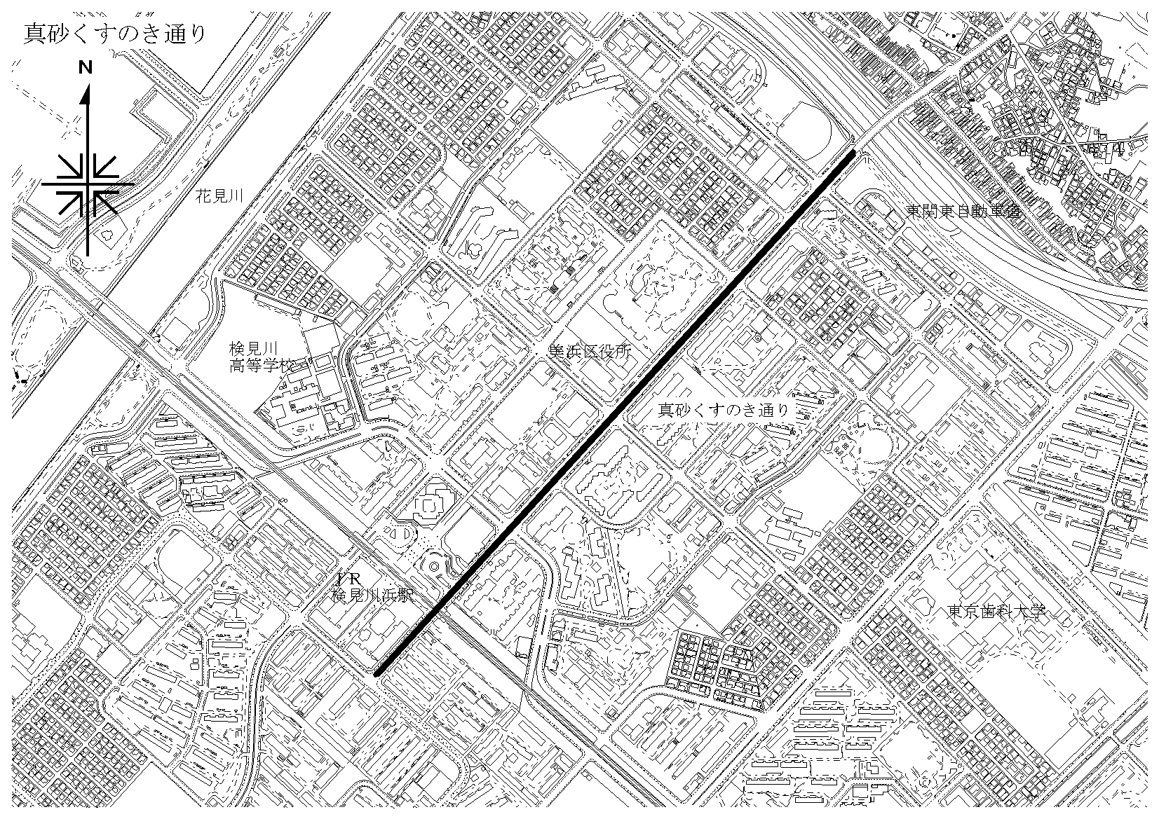
25 真砂くすのき通り 美浜区真砂2丁目~美浜区磯辺5丁目 地図1(GIF:165KB)
26 美術館通り 中央区本千葉町~中央区中央3丁目 地図1(GIF:152KB)
27 若葉北通り 若葉区貝塚町~若葉区若松町 地図1(GIF:168KB)
28 大椎台さわやか通り 緑区大木戸町~緑区大椎町 地図1(GIF:163KB)
29 東大グランド通り 花見川区検見川町5丁目~花見川区畑町

地図1(GIF:146KB)

地図2(GIF:183KB)

地図3(GIF:176KB)

30 小仲台坂通り 稲毛区小仲台6丁目~稲毛区小仲台8丁目 地図1(GIF:198KB)
番号 道路愛称名 位置 地図
31 都町中通り 中央区都町1丁目~若葉区加曽利町

地図1(GIF:192KB)

地図2(GIF:166KB)

32 都賀車坂通り 若葉区貝塚町~若葉区都賀4丁目

地図1(GIF:173KB)

地図2(GIF:129KB)

地図3(GIF:147KB)

33 鎌取タウンセンター北通り 緑区おゆみ野3丁目~緑区おゆみ野5丁目 地図1(GIF:165KB)
34 センターストリート 美浜区中瀬1丁目 地図1(GIF:124KB)
35 国際大通り 美浜区中瀬2丁目~美浜区若葉2丁目 地図1(GIF:170KB)
36 公園大通り 美浜区若葉2丁目~美浜区ひび野2丁目 地図1(GIF:163KB)
37 ハイテク通り 美浜区ひび野1丁目~美浜区中瀬1丁目 地図1(GIF:127KB)
38 メッセ大通り 美浜区打瀬3丁目~美浜区中瀬2丁目

地図1(GIF:122KB)

地図2(GIF:111KB)

39 ビジネス通り 美浜区中瀬2丁目~美浜区中瀬1丁目 地図1(GIF:123KB)
40 花見川通り 美浜区打瀬3丁目~美浜区若葉2丁目

地図1(GIF:145KB)

地図2(GIF:162KB)

41 パークモール 美浜区中瀬2丁目~美浜区中瀬1丁目 地図1(GIF:136KB)
42 公園中通り 美浜区ひび野2丁目~美浜区ひび野1丁目 地図1(GIF:118KB)
43 浜田川通り 美浜区中瀬2丁目~美浜区中瀬1丁目 地図1(GIF:138KB)
44 白帆通り 美浜区打瀬1丁目 地図1(GIF:133KB)
45 打瀬北通り 美浜区打瀬3丁目~美浜区打瀬1丁目 地図1(GIF:133KB)
46 打瀬東通り 美浜区打瀬1丁目~美浜区打瀬2丁目 地図1(GIF:133KB)
47 打瀬南通り 美浜区打瀬2丁目~美浜区打瀬3丁目 地図1(GIF:133KB)
48 打瀬中通り 美浜区打瀬2丁目 地図1(GIF:133KB)
49 打瀬西通り 美浜区打瀬3丁目 地図1(GIF:133KB)
50 美浜プロムナード 美浜区打瀬1丁目~美浜区打瀬2丁目 地図1(GIF:133KB)
51 松波本通り 中央区松波2丁目~中央区松波1丁目 地図1(GIF:198KB)
52 松波さくら通り 中央区松波2丁目 地図1(GIF:198KB)
53 ふれあい通り 中央区松波2丁目~中央区松波4丁目 地図1(GIF:198KB)
54 公園通り 中央区松波4丁目 地図1(GIF:198KB)
55

バレンタイン通り

【英名:ValentineWay】

美浜区打瀬3丁目~美浜区打瀬1丁目 地図1(GIF:115KB)
56 大木戸台ふれあい通り 緑区大木戸町 地図1(GIF:134KB)
57 きぼーる通り 中央区本千葉町~中央区中央4丁目 地図1(JPG:366KB)
58 つばさ記念ロード 美浜区幸町2丁目~美浜区稲毛海岸5丁目

地図1(GIF:416KB)

59 東千葉あいさつロード 中央区東千葉1丁目~中央区東千葉3丁目 地図1(PDF:393KB)
60 放医研通り 稲毛区小仲台2丁目~稲毛区黒砂台3丁目 地図1(PDF:689KB)  
61 幕張駅北口大通り 花見川区幕張町6丁目~花見川区武石町2丁目 地図1(PDF:488KB)

このページの情報発信元

建設局土木部路政課

千葉市中央区千葉港1番1号 千葉市役所低層棟3階

ファックス:043-245-5593

rosei.COP@city.chiba.lg.jp

より良いウェブサイトにするためにみなさまのご意見をお聞かせください

このページの情報は役に立ちましたか?

このページの情報は見つけやすかったですか?